USINE À PAPIER DE LA SOCIÉTÉ DES PAPETERIES BISONTINES, USINE DE FIBRES ARTIFICIELLES ET SYNTHÉTIQUES DITE USINE DES SOIERIES PUIS DE LA RHODIACÉTA
25 - Besançon
avenue De Chardonnet
- Dossier IA25000260 réalisé en 1992
- Auteur(s) : Laurent Poupard
Présentation
Historique
En 1883, Louis-Marie-Hilaire Bernigaud, comte de Chardonnet de Grange, découvre un procédé de fabrication d'une fibre artificielle imitant la soie. Le 17 novembre 1884, il dépose un brevet d'invention - n° 165.349 (cf. annexes) - pour cette soie artificielle à base de collodion (également dite soie de nitrocellulose et qui sera appelée rayonne à partir du début des années trente). En décembre de cette même année, il crée la première machine à filer la soie artificielle puis en réussit le tissage en octobre 1886. Il présente son invention à l'Exposition Universelle de 1889, où sa machine à filer lui vaut de recevoir un grand prix. Adolphe Trincano, ancien directeur de la filature Herzog, au Logelbach (commune de Wintzenheim, près de Colmar), lui propose alors ses services et le met en relation avec un industriel bisontin, Jean-Baptiste Weibel (1849-1894).Alsacien ayant opté pour la France en 1871, celui-ci vient d'installer en 1882, à Novillars, "la première usine française fabriquant la cellulose de bois selon le procédé au bisulfite récemment découvert par le chimiste Micherlisch". L'établissement est exploité par la société J.-B. Weibel et Cie, société en commandite simple puis, à partir de 1885, en commandite par actions avec un capital de 1 800 000 francs. L'extension de son affaire l'amène, en 1889, à créer la S.A. des Papeteries bisontines et une usine aux Prés-de-Vaux, chargée de transformer en papier la cellulose produite à Novillars. Equipée de quatre machines à papier (actionnées par une machine à vapeur), la production est, vers 1894, de 30 000 kg de papier par jour. Après la mort de Weibel en 1894, sa veuve reprend l'usine des Prés-de-Vaux au sein de la société des Papeteries J.-B. Weibel. L'unité de Novillars fabrique les papiers d'emballage, celle de Besançon, à partir de 1920 et après divers agrandissements, le papier journal. En 1923, la S.A. des Papeteries J.-B. Weibel, au capital de 5 millions de francs, produit avec les 8 machines de ses deux usines 15 000 tonnes de papier par an. Outre les 3 000 CV fournis par la société des Forces Motrices de la Loue, elle dispose d'installations thermiques de plus de 4 500 CV. Elle emploie environ 1 000 ouvriers et ouvrières.
En 1890, Jean-Baptiste Weibel vient donc de créer l'usine des Prés-de-Vaux. Le 3 décembre de cette année est fondée la S.A. pour la fabrication de la Soie de Chardonnet, dont le capital est de 6 millions de francs. Weibel en devient l'administrateur délégué et reçoit la moitié des 12 000 actions de la société, l'autre moitié appartenant à de Chardonnet. Il donne 4 ha de terrain en amont de son usine, aux lieux-dits les Prés-de-Vaux et les Gacognes, et obtient une prolongation de la voie ferrée desservant sa papeterie (avenant du 21 septembre 1892 au traité du 12 juillet 1890 entre la compagnie P.L.M. et la société des Papeteries bisontines, autorisant l'établissement d'un embranchement ferroviaire entre la gare de Besançon-Mouillère et la papeterie, puis un sous-embranchement vers l'usine des Soieries). Le 29 mai 1891, la S.A. reçoit l'autorisation de construire son usine. Les travaux (confiés à la société Buhler frères ?) sont pour l'essentiel achevés à la fin du mois de mai 1892. L'usine entre en activité le 1er juin 1892 (après un arrêté préfectoral favorable le 11 mai). Elle est prévue pour 25 becs de filature et une production de 1 000 kg de soie par jour.
Cette même année 1892 est créée la Société Universelle de la Soie de Chardonnet, S.A. dont le siège est à Besançon, au 2 rue de Lorraine, et qui réunit J.-B. Weibel, le comte de Chardonnet et l'un des principaux fabricants de soie lyonnais, Claude Poncet. La Société pour la fabrication de la Soie de Chardonnet lui fait apport de tous ses biens, ses brevets et sa clientèle.
Sise sur un fonds d'environ 1 ha 86 a 20 ca (parcelles n° 2393 à 2403 et 2597 à 2602, section B du plan cadastral), l'usine se compose de :
"1° Un bâtiment de 800 mètres carrés dans lequel sont installés : (a) Les machines nécessaires à la préparation des pyroxyles et à leur nitration, séchage, lavage, essorage et dénitration ; (b) Un laboratoire ; (c) Des réservoirs à acides ; (d) Une machine à vapeur système Armington.
2° Un bâtiment de 190 mètres carrés servant de salle de chaufferie et renfermant : (a) Deux générateurs Belleville avec tous leurs accessoires ; (b) Une pompe à vapeur et deux chevaux alimentaires.
3° Un bâtiment de 3,000 mètres carrés divisés en : (a) Une salle contenant une machine à vapeur Armington, deux pompes système Deat, une machine à vapeur verticale, une machine dynamo, deux pompes de compression d'air ; une pompe de pression hydraulique et deux grands réservoirs ; (b) Trois salles de filage et moulinage ; (c) Et trois salles dans lesquelles se trouvent des malaxeurs, filtres, récipients, pompes centrifuges et ventilateurs.
4° Un bâtiment de 175 mètres carrés servant de magasin et de séchoir des soies.
5° Un bâtiment servant de logement aux gardiens de l'usine.
6° Un bâtiment dans lequel sont installés les bureaux des employés de l'usine.
7° Et quatre séchoirs à pyroxyles.Le tout entouré de cours, de murs et de chemins".
Elle dispose en outre d'une grande parcelle de terrain de 11 ha 88 ca, située entre elle et le Doubs (section B, n° 2143 à 2145, 2565 à 2590, 2590 bis, 2599, 2600, 2602 et 2605), de diverses parcelles à proximité pour environ 60 a 25 ca (section B, n° 2410, 2412 à 2422, 2591 à 2596) et d'une propriété la jouxtant, de 2 ha 26 a 60 ca (section B, n° 2601, 2603, 2604 et 2606 p.), comprenant une habitation et deux corps de bâtiment.
Les débuts sont difficiles, marqués par des divergences entre Weibel et de Chardonnet (qui ouvre des usines à l'étranger), divers incendies et tous les problèmes inhérents à une fabrication totalement nouvelle. Aussi la production n'est-elle que de 27 kg de soie par jour en décembre 1894. Elle passe à plus de 20 000 kg pour l'année 1896, alors que la société emploie 400 ouvriers. L'administrateur est depuis 1894 Adolphe Trincano (qui décédera en 1900 et sera remplacé par l'industriel Douge). Les premiers bénéfices ne sont réalisés qu'en 1898, année où le capital social est ramené à 1,5 million de francs (il sera porté à 2 millions en 1900) ; ils sont de 5 millions environ en 1904.
L'usine, dite des Soieries, est agrandie en 1905 avec, notamment, l'extension du bâtiment administratif - l'édification d'une grande bâtisse dans le prolongement de celle déjà existante -, la construction d'un bâtiment (Tl) à proximité - accueillant le battage, le titrage et des séchoirs - et d'ateliers couverts de sheds (S) - pour le flottage, le moulinage, la dénitration et le blanchiment. Elle sert d'hôpital durant la Première Guerre mondiale.
De nouvelles méthodes de fabrication de soie artificielle sont apparues après 1884. La soie au cuivre, d'après un brevet du français Despeissis en 1890, reçoit une application industrielle en France à Givet (Ardennes) en 1903 puis à Izieux, commune de Saint-Chamond (Loire), en 1905. Utilisant un principe découvert en Angleterre en 1892 et appliqué à l'élaboration du textile artificiel en 1903, la soie viscose fait son apparition en France en 1904, à Arques-la-Bataille (Seine-Maritime). Son prix de revient étant presque trois fois moins élevé que celui de la soie de Chardonnet, elle ne tarde pas à la concurrencer. Aussi l'usine bisontine est-elle convertie en 1919 à la fabrication de la soie viscose.
Cette transformation est issue de changements dans la société. Le 1er avril 1911, la plupart des sociétés de textile artificiel s'étaient regroupées en un organisme de vente commun : le C.T.A. ou Comptoir des Textiles Artificiels, dont le siège est au 16 rue du Louvre, à Paris. Son rôle semble suffisamment important pour entraîner la reconversion de l'usine des Prés-de-Vaux et la dissolution, en 1914, de la Société pour la fabrication de la Soie de Chardonnet, qui devient Société de la Soie artificielle de Besançon (son siège social est aussi au 16 rue du Louvre). C'est en outre le C.T.A. qui, le 6 août 1920, nomme M. Fournaud à la direction de l'usine.
En 1920 (1928 ?), la partie ancienne du site, au long du chemin des Prés-de-Vaux, est presqu'entièrement rebâtie : les nouveaux bâtiments (O) abritent la filature et ses cinq métiers. La production est alors de 12 à 15 tonnes de fil viscose par mois. Un poste de transformation, de 30 mètres sur 12, est construit par la société des Forces Motrices de la Loue près de la passerelle sur le Doubs. Il dessert l'usine et la papeterie. En 1935, la société change de raison sociale pour celle des Textiles artificiels de Besançon. Elle deviendra plus tard société Givet-Izieux - usine de Besançon. Employant jusqu'à 600 personnes, elle a un effectif de 4 à 500 ouvriers de 1940 à 1951. Une partie du personnel est logée à proximité, dans la cité ouvrière qu'elle a édifiée à la fin des années vingt ou au début des années trente.
En 1952, l'usine occupe 586 personnes. Avec 21 métiers dans la filature, sa production est de 100 à 120 tonnes de fil viscose par mois. Toutefois, le viscose étant supplanté par les fils synthétiques - polyamide notamment, plus connu sous la marque Nylon -, le C.T.A. en décide la fermeture, réalisée d'octobre 1952 à mai 1953.
Le site est racheté le 1er janvier 1954 par la société Rhodiacéta (par la suite appelée sur place la Rhodia). Celle-ci est née le 23 juin 1922 d'une association à égalité entre le C.T.A. et la Société chimique des Usines du Rhône (plus tard Rhône-Poulenc) pour utiliser le procédé de filature de la soie à l'acétate de cellulose mis au point par cette dernière.
La Rhodiacéta est déjà propriétaire d'usines : celles du Péage-de-Roussillon (Isère), créée vers 1925 pour la fabrication de l'acétate de cellulose ; l'usine textile de Vaise à Lyon, datant de 1926 et modernisée ou doublée par une autre unité (UTN) en 1939-1940 ; l'usine de production de polymère nylon puis tergal à Belle-Etoile, commune de Feyzin (Rhône), bâtie en 1950 ; d'autres usines à l'étranger. Leur nombre s'explique par une demande de fils synthétiques toujours croissante et par sa situation de quasi-monopole de fabrication dans cette branche d'industrie. Outre ses propres brevets concernant les fils polyamide (marque Nylon), dont la licence avait été achetée en 1928 par la société américaine Dupont de Nemours mais qu'elle rachète vers 1939, elle détient à partir de 1953 ceux de la société anglaise I.C.I. pour les fils polyester (marque Tergal).
Elle décide donc en 1954 l'implantation d'une filature de tergal dans l'usine bisontine, complétée par une filature nylon à partir de 1956. Les ateliers de la moitié orientale du site sont démolis puis les constructions se déroulent, par tranches, de 1954 à 1965 (cf. annexes). Edifiés suivant des plans du bureau d'études de la société, les bâtiments sont en béton armé avec des fondations sur pilotis et, éventuellement, un habillage en brique pleine. Ils s'élèvent sur plusieurs étages (les métiers sont verticaux), parfois peu ouverts sur l'extérieur - la fabrication nécessitant des conditions de température et d'humidité strictes (d'où la présence d'une centrale frigorifique sur le site) - et traduisent une conception "selon le modèle tayloriste qui prévalait à la Dupont de Nemours".
La filature tergal entre en activité en octobre 1955, celle du nylon le 26 mars 1956 et son étirage en mai 1957 (la fabrication s'organise en trois phases : filature - les grains de polymère sont fondus et transformés en fils -, étirage - les fils sont étirés pour devenir élastiques et non déformables à la traction - et, éventuellement, finissage - moulinage ou mise en chaine. Cf. annexes). Par la suite sont construits de nouveaux ateliers de filature et d'étirage.
Un poste de transformation haute-tension est édifié en 1955 (il abaisse à 5 000 volts la tension de 60 000 volts délivrée par les deux lignes distinctes alimentant l'usine), le château d'eau et la centrale frigorifique en 1957. Subsistent comme édifices anciens les bâtiments administratifs, ceux de la centrale thermique (dont le matériel a été mis à la casse en 1952 - notamment sa machine à vapeur Dujardin de 250 CV - pour être remplacé par des chaudières à eau surchauffée), le laboratoire et l'ancien bâtiment du titrage et du battage, avec son monogramme SC en façade, reconverti en vestiaires et cantine.
Les constructions se poursuivent à l'extérieur de l'usine, qui prend le nom d'Usine A. Le site de la papeterie Weibel, fermée vers 1950 semble-t-il, est acheté à la société CENPA (ou La Rochelle-Cenpa) et devient l'Usine B. Les bâtiments au sud-est, jouxtant l'usine A, sont détruits de même que les constructions du dépôt de combustibles de la SABTEC. Ils sont remplacés de 1960 à 1965 par trois nouvelles unités : deux ateliers de finissage - ou d'ourdissage - et un d'étirage tergal (en 1970, pour une fabrication de fil à coudre, les ateliers de finissage seront reliés par un tunnel à l'atelier d'étirage tergal TE2, situé au nord de la cantine). Finalement, en 1963 et 1964 est édifiée l'Usine C, en amont, à vocation d'entrepôt de matières premières, de produits finis et d'emballages.
De 158 tonnes par mois en 1956, la production est passée à 3 274 tonnes en 1966, avec une consommation d'électricité de 72 millions de kWh en 1963 (supérieure à celle de la ville de Besançon). Les effectifs ont augmenté en proportion : de 200 personnes en 1955 à 600 en 1958, 1 500 en 1960, 2 650 en 1963, 3 280 en 1966. Leur répartition est la suivante en 1963 : 25 cadres, 100 agents de maîtrise et 2 400 ouvriers, les femmes représentant environ 22 % du total. A cette date, plus de 10 % du personnel est logé par la société dans 271 logements répartis entre la cité ouvrière (77 logements), 7 villas, 10 appartements en ville et divers H.L.M. pour la construction desquels elle a pris une participation. En outre existe une mutuelle Rhodia, créée le 25 juin 1959.
Toutefois, en 1967, la chute des brevets dans le domaine public entérine la fin du monopole de la Rhodiacéta. De plus, à l'usine même, les conditions de travail sont devenues difficiles : le travail est, à certains postes, très pénible (chaleur excessive) ; il y a des tensions entre les ouvriers et l'encadrement, dont le rôle de surveillance et de répression est de moins en moins supporté ; les difficultés du marché (surproduction et concurrence) obligent à un chômage rotatif avec jusqu'à 21 arrêts de travail en 3 mois.
Aussi le samedi 25 février 1967, 800 ouvriers décident-ils l'occupation de l'usine (les unités de Lyon-Vaise, Péage-du-Roussillon et Belle-Etoile entament des mouvements de grève solidaires). La grève va durer un mois à Besançon, pour une augmentation de salaire de 3,48 % laissant tout le monde insatisfait. Elle aura eu un retentissement national car exprimant à la fois une demande économique, une demande sociale (contre la déshumanisation de l'usine) et une demande culturelle : Pol Cebe, nommé animateur culturel de la grève, ouvre un livre d'or (conservé au Musée du Temps) ; des vedettes de télévision ou de cinéma se déplacent sur les lieux ; un film y est même réalisé. Cette grève de 1967 puis celle de 1968 aboutissent à un changement dans l'organisation de la fabrication avec la mise en place de groupes semi-autonomes de production, donnant plus de responsabilités aux ouvriers.
En 1973, la production est de 4 241 tonnes par mois et la productivité de 1,8 tonne par travailleur (contre 0,3 tonne en 1956 puis 1 tonne en 1966). Les effectifs sont, au 1er septembre, de 2 469 personnes soit 1 864 ouvriers (dont 182 femmes), 148 employés (dont 96 femmes), 202 techniciens (dont 40 femmes), 221 agents de maîtrise (dont 26 femmes) et 34 cadres, dans une usine d'une superficie de 156 000 m2. En 1974, avec 2 383 personnes, la production est de 50 000 tonnes, réparties en 18 000 tonnes de fil tergal, 20 000 tonnes de fibres tergal et 12 000 tonnes de fil nylon. Le personnel de fabrication travaille en 4x8, celui du finissage et du paquetage en 2x8. En juin 1977, les 2 150 personnes se répartissent en 1 250 travaillant en 4x8, 200 en 2x8 et 700 à la journée. La production est de 13 000 tonnes de fils polyester (Tergal) - dont 3 500 en texture -, 15 000 tonnes de fibre polyester et 12 000 tonnes de fil polyamide (Nylon). 30 % est destiné à l'exportation. Le trafic est d'environ 16 camions de 15 tonnes par jour et 5 700 wagons par an, arrivant directement dans la cour de l'usine.
La société Rodhiacéta disparaît en 1971 : en 1961 Rhône-Poulenc avait pris le contrôle du C.T.A. et s'était constitué en holding ; dix ans plus tard, il crée la branche Rhône-Poulenc-Textile (R.P.T.) en fusionnant le C.T.A., la Rhodiacéta et diverses sociétés dont Rhovyl et Norsyntex.
La production au sein de R.P.T. est redéfinie par le plan textile de 1977, prévoyant la re-concentration du textile synthétique sur les usines de Gauchy (Aisne) et Valence (Drôme) pour le polyester et d'Arras (Pas-de-Calais) pour le polyamide. Cette restructuration s'accompagne de fermetures : unités d'Izieux en 1974-1975, du Péage-du-Roussillon en 1979, de la Vaise à Lyon en août 1980 et de Vaux-en-Velin à la fin de 1980. A Besançon, la fabrication du cablé-pneu, destiné à faire de la toile pour pneumatiques, a cessé dès 1965, celle du fils tapis en 1972 ; l'atelier d'ourdissage a été démonté en 1975. La fermeture de l'usine est progressivement réalisée de 1977 à 1982 environ. En janvier 1981 est prévu l'arrêt du tissage de la fibre polyester, en juillet l'arrêt de sa fabrication et en décembre celui de la fabrication du fil polyamide.
Rhône-Poulenc-Textile revend le site à différentes sociétés. Il conserve cependant les bâtiments récents de l'usine B, qui accueillent la S.A.M.G.R.P. (société qui gère les archives du groupe), la Rhodiaval groupe Sarstedt (fabrique d'articles en matière plastique pour laboratoires), Médipost groupe Cegedim et les Produits Chimiques du Nord. Les autres ateliers de l'usine B accueillent deux discothèques (The Factory et l'Orient Express), la société de distribution publicitaire Distrib'Est, la S.A.R.L. Spalek - fondée en 1991, capital 300 000 F, 5 personnes - fabriquant des tonneaux de polissage et d'ébavurage, la S.A.R.L. Spiral - fondée en 1989, capital 50 000 F, 3 personnes - réalisant ébarbage, ébavurage et oxydation noire d'objets métalliques (tribofinition et brunissage des aciers), des entrepôts de la S.A. Superior - fondée en 1949, capital 15 millions de F, 130 personnes - réalisant des articles de voyage, de sport et de loisir, et la société Baurand Transports - fondée en 1968, 58 personnes. L'ancien poste de transformation E.D.F., près de la passerelle sur le Doubs, abrite l'entreprise générale du bâtiment P. Piccoli (menuiserie plastique).
Dans l'usine A, les bâtiments de l'atelier de réparation et de la chaufferie sont occupés par la S.A. Sani Est - fondée en 1965, capital 2 200 000 F - chauffagiste et revendeur de matériaux de construction, celui dit des corps d'état par la S.A. Schevènement, société de sanitaire, chauffage, couverture et zinguerie. Le reste du site - en fait, la partie la plus importante - est acheté en 1991 par une société immobilière suisse, Physenti, qui projette d'y installer un gigantesque centre d'affaires international. Cette Sarl loue, en attendant, quelques locaux à un atelier de photogravure et à une imprimerie. En amont, touchant l'aire de transformation reprise par E.D.F., d'anciens ateliers bâtis en 1930 accueillent la S.A. Spac Industrie, société de chaudronnerie et serrurerie industrielle, autrefois sous-traitante de la Rhodiacéta, qui réalise également des aménagements et déménagements d'usines. Finalement, l'usine C a été rachetée en 1980 par une S.A. fondée la même année, Superfos Emballage - capital 16 millions de F, 180 personnes en 1992. Celle-ci fabrique des seaux et pots en polypropylène injecté, et a agrandi le bâtiment en 1990 par la construction d'un magasin industriel avec quai de chargement.
Le site est cependant déserté et partiellement laissé à l'abandon au fil du temps. La partie de l'usine A, notamment, qui est propriété de Physenti, est totalement abandonnée et squattée, après le placement de la Sarl en liquidation judiciaire en 1994.
La Ville souhaite réhabiliter cette entrée de l'agglomération et notamment le quartier des Près-de-Vaux, où elle envisage la destruction des bâtiments de l'usine en préalable à la construction de logements collectifs, de bureaux, de locaux associatifs, sportifs, culturels et de loisir, d'un parc au long du Doubs, etc. Elle acquiert donc au cours des décennies 1990 et 2000, lorsque l'occasion se présente, terrains et bâtiments : elle traite ainsi avant 2003 avec Superfos, Bolloré, Burdin-Bossert, Baurand, Supérior, etc., mais se heurte à la résistance de la société Physenti, dont le bien est estimé en 2011 à l'euro symbolique du fait des coûts de dépollution des lieux. Une procédure d'expropriation est en cours.
Description
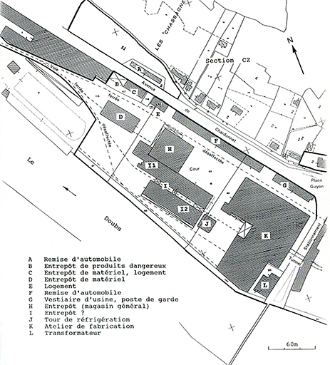
Usine
Bâtiments antérieurs aux années cinquante
Murs en moellon calcaire avec enduit. Baies en arc segmentaire à encadrement en brique (oculus ouvrant le pignon des sheds). Toits à longs pans ou en shed. Couverture en tuile mécanique, avec verrière sur l'atelier de fabrication puis cantine (Tl).Voûtains longitudinaux et transversaux en béton armé au sous-sol des bureaux (M), au rez-de-chaussée et à l'étage carré du laboratoire (Q), reposant sur des colonnes métalliques au rez-de-chaussée et à chacun des deux étages de la cantine (T1).
Datés 1920 (?), les bâtiments (I) de la papeterie ont des murs en pan-de-béton armé, avec hourdis de parpaing de résidu industriel apparent, et une couverture en tuile mécanique (II) et en métal (12).
Les quatre corps de bâtiment de l'entrepôt (H), atelier de fabrication à l'origine de la papeterie en 1889, ont été regroupés par deux sous un même toit de ciment amiante.
Les ateliers dit de la pétrolerie (Z) sont en vaisseau, avec des murs en pan-de-fer, hourdis de brique creuse et enduit.
Bâtiments postérieurs aux années cinquante
Fondations : pilotis en béton armé. Pan-de-béton armé, avec hourdis de parpaing de béton ou de dalle en béton armé, enduit et, éventuellement, habillage de briques pleines apparentes. De 3 à 5 étages carrés desservis par des escaliers tournants à retours avec jour, des escaliers ou des échelles métalliques, des monte-charges. Baies rectangulaires. Toits terrasse étagés, en béton (toit à longs pans avec verrière sur les premières filatures tergal et nylon de 1954-1956).La cantine (T2) s'organise autour d'un jardin suspendu (2e étage).
L'usine C (bâtiment C’) a un rez-de-chaussée en pan-de-béton armé avec des dalles en béton, un étage en pan-de-fer avec des dalles en ciment amiante, et une toiture à longs pans en brique creuse couverte de toile goudronnée et reposant sur une charpente métallique.
Cité ouvrière
Elle se compose de 17 maisons et immeubles, organisés en trois grands types.Sous-sol : accessible depuis l'extérieur, murs en moellon calcaire. Rez-de-chaussée surélevé, étage carré (sauf pour le type I) et étage de comble : murs en parpaings de résidu industriel et enduit. Baies rectangulaires. Toit à longs pans et couverture de tuiles mécaniques.
Type I (logement de contremaîtres ?)
5 maisons doubles : 4 (DH 43, 44), 5 (DH 51, 53), 14 (DH 64, 65), 15 (DH 66-68) et 16 (DH 69, 70) cité Rhodiacéta.Rez-de-chaussée et comble, demi-croupes aux extrémités de ce bâtiment en longueur et pignon découvert en marquant chaque tiers.
Type II
5 immeubles : 2 (DH 108), 6 (DH 41), 9 (DH 57), 11 (DH 20) et 13 (DH 18) cité Rhodiacéta.3 travées de fenêtres en façade, accès à l'étage par une cage d'escalier fermée à chaque extrémité du bâtiment, pignon couvert.
Type III
Organisé en deux sous-typesIIIa3 immeubles : 1 chemin des Prés-de-Vaux (DH 139), 8 (DH 48) et 12 (DH 19) cité Rhodiacéta.
3 travées de baies en façade antérieure, 4 pour la façade postérieure, travée centrale de la façade antérieure composée d'une porte surmontée d'une fenêtre puis d'une fenêtre en arc de cercle, demi-croupes.
IIIb3 immeubles : 3 (DH 102), 7 (DH 46) et 10 (DH 56) cité Rhodiacéta.
5 travées de baies en façade antérieure, 4 pour la façade postérieure (présence de balcons), travée centrale de la façade antérieure composée d'une porte surmontée d'une fenêtre, croupes.
Bâtiment dit hôtel des célibataires
Bâtiment type H.L.M. : 13 ter cité Rhodiacéta (DH 61).Béton armé et enduit, 3 étages carrés, terrasse en béton armé.
Historique
Le site des Prés-de-Vaux fut occupé par deux industries. En 1889, fondant la S.A. des Papeteries Bisontines, J.-B. Weibel y construit une usine pour absorber la production de son unité de Novillars (1ère usine de cellulose en France, créée en 1882). Fabricant du papier journal à partir de 1920, l'usine ferme avant 1950. Inventeur de la soie artificielle en 1883, le comte de Chardonnet fonde en 1890 la S.A. pour la Fabrication de la Soie de Chardonnet. Il édifie en 1891 et 1892 l'usine dite des Soieries, agrandie en 1905 et 1920. Une cité ouvrière est bâtie à la fin des années 1920 ou au début des années 1930. Fermée en 1953, l'usine des Soieries est achetée en 1954 par la société Rhodiacéta, créée en 1922. Elle est transformée en filature polyester (tergal) et polyamide (nylon), matières dont la Rhodiacéta tient les brevets. De vastes bâtiments sont construits, sur des plans de son service d'architecture : usine A de 1954 à 1964, usine B (remplaçant la papeterie) de 1960 à 1965 et usine C en 1963 et 1964. Fusionnée en 1971 avec d'autres sociétés, la Rhodiacéta devient Rhône-Poulenc-Textile. Une restructuration du groupe entraîne la fermeture de l'usine vers 1982. Diverses entreprises réoccupent le site. L'usine A, dont la longue désaffectation partielle s'est accompagnée de dégradations, et une partie de l'usine B sont acquis par la Ville, qui détruit un certain nombre de bâtiments. Elle prévoit la démolition quasi-totale de l'usine A pour la remplacer par un ensemble associant habitat, tertiaire et commerces.
1894, 4 machines à papier et machine à vapeur, production de 30 tonnes de papier par jour. Machine à vapeur Dujardin de 250 CV aux Soieries. Plus de 20 tonnes de soie artificielle fabriquées en 1896. Production mensuelle des filatures : 100 à 120 tonnes de fil par mois en 1952 (21 métiers), 158 tonnes en 1956, 3274 tonnes en 1966, 4241 tonnes en 1973.
400 ouvriers en 1896, 586 en 1952, 200 en 1955, 3280 en 1966, 2469 en 1973. Grève importante en février et mars 1967.
- 4e quart 19e siècle
- 1er quart 20e siècle
- 2e quart 20e siècle
- 3e quart 20e siècle
Description
Site industriel desservi par voie navigable et embranchement ferroviaire. Bâtiments avant 1950 : moellon calcaire, baies en arc segmentaire, toit à longs pans et sheds, tuile mécanique. Après 1950 : pan de béton armé, baies rectangulaires, 3 à 5 étages carrés, terrasse.
- calcaire
- résidu industriel en gros oeuvre
- brique creuse
- béton
- métal
- moellon
- béton armé
- pan de béton armé
- parpaing de béton
- pan de métal
- tuile mécanique
- métal en couverture
- béton en couverture
- 5 étages carrés
- charpente métallique apparente
- élévation à travées
- toit à longs pans, pignon couvert
- pignon découvert
- croupe
- demi-croupe
- noue
- shed
- appentis
- escalier dans-oeuvre, escalier tournant à retours avec jour, en maçonnerie en charpente
- monte-charge
- rampe d'accès
- mauvais état, menacé
Source(s) documentaire(s)
-
371 S 12 Besançon. Doubs et canal (1827-1899) : demande de prises d'eau (1889 et 1890)
371 S 12 Besançon. Doubs et canal (1827-1899) : demande de prises d'eau (1889 et 1890)Lieu de conservation : Archives départementales du Doubs, Besançon - Cote du document : 371 S 12 -
O 3 13 Navigation et régime des eaux : déclaration de construction d'un poste de transformation par la société des Forces motrices de la Loue, 4 septembre 1920
O 3 13 Navigation et régime des eaux : déclaration de construction d'un poste de transformation par la société des Forces motrices de la Loue, 4 septembre 1920 (contient 2 plans : tirages bleus)Lieu de conservation : Archives municipales, Besançon - Cote du document : O 3 13 -
Archives du groupe Rhône-Poulenc gérées à Besançon par la S.A.M.G.R.P.
Archives du groupe Rhône-Poulenc gérées à Besançon par la S.A.M.G.R.P. Contiennent notamment un fonds de Chardonnet et des éléments sur la Rhodiacéta (consultation payante avec autorisation préalable)Lieu de conservation : Archives Rhône-Poulenc, Besançon -
Archives de l'usine des Soieries puis de la Rhodiacéta
Archives de l'usine des Soieries puis de la Rhodiacéta : brevets, documents traitant des débuts de la société, livre d'or de la grève de 1967, objets, photographies, bibliographie, etc.Outre une partie des archives de l'usine, le Musée du Temps possède différents échantillons de la première soie artificielle et conserve le mobilier de la salle du conseil (dont les sièges sont recouverts en cette matière, ainsi que les tentures). D'autre part, le CNAM à Paris présente une maquette animée d'une usine de fabrication de textiles artificiels inspirée de l'usine de Besançon : réalisée en 1954 à l'occasion des cérémonies commémoratives de l'invention de de Chardonnet, elle a été donnée au CNAM en 1964 par le Syndicat français des Textiles artificiels.Lieu de conservation : Musée du Temps, Besançon
-
Embranchement particulier de la société des Papeteries Bisontines à Besançon (Doubs), 1892.
Embranchement particulier de la Société des Papeteries Bisontines à Besançon (Doubs). Etablissement d'un sous-embranchement pour desservir l'usine de la Société anonyme pour la fabrication de la soie de Chardonnet. Plan à joindre à l'avenant au traité du 12 juillet 1890, tirage à l'ammoniaque colorié, par l'ingénieur Morard, 1892, échelle 1:1000Lieu de conservation : Musée du Temps, Besançon -
Plan-masse de l'usine, vers 1897
Plan-masse de l'usine, dessin sur calque (plume, lavis), s.d. (vers 1897)Lieu de conservation : Musée du Temps, Besançon -
Plan de Besançon : extrait des plans déposés au Service de la voirie, vers 1900 ?
Plan de Besançon : extrait des plans déposés au Service de la voirie, dessin imprimé, par les Services techniques de la ville de Besançon, s.d. [vers 1900 ?], échelle 1:8 000. Extrait de l'Annuaire du Doubs, 1903. -
Soie de Chardonnet. Usine de Besançon, 1906
Soie de Chardonnet. Usine de Besançon, tirage à l'ammoniaque, s.n., 1906, échelle 1:500Lieu de conservation : Musée du Temps, Besançon -
Usine de Besançon. Plan de masse, 1964
Usine de Besançon. Plan de masse, tirage à l'ammoniaque, par le géomètre expert ETP Guy Martin, 1964, échelle 1:1000Lieu de conservation : Musée du Temps, Besançon -
Société Rhodiacéta. Usine de Besançon. Plan G. 43 [plan-masse devenu plan de datation], 1964
Société Rhodiacéta. Usine de Besançon. Plan G. 43 [plan-masse devenu plan de datation], tirage à l'ammoniaque, par le géomètre expert ETP Guy Martin, 1964, échelle 1:2000Lieu de conservation : Musée du Temps, Besançon -
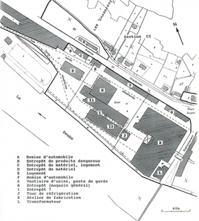
Plan commenté de localisation d'ateliers et de machines, vers 1980 ?
Plan commenté de localisation d'ateliers et de machines (réutilisant un plan-masse de 1964 dû au géomètre G. Martin), photocopie, s.n., s.d. [vers 1980 ?], sans échelle [1:1000]Lieu de conservation : Musée du Temps, Besançon -
Croquis de plan-masse des usines A et B, donnant une répartition fonctionnelle des bâtiments, vers 1980
Croquis de plan-masse des usines A et B, donnant une répartition fonctionnelle des bâtiments, photocopie coloriée, par Corinne Bourlon, vers 1980. Extrait du mémoire de maîtrise de Corinne BourlonLieu de conservation : Musée du Temps, Besançon -
Papier à en-tête, 26 avril 1900
Papier à en-tête, daté du 26 avril 1900Lieu de conservation : Musée du Temps, Besançon -
Vue cavalière de l'usine, 1901.
Vue cavalière de l'usine, dessin à la plume aquarellé, par E. Weber, 1901Lieu de conservation : Musée du Temps, Besançon -
Les Papeteries bisontines, 1894.
Les Papeteries bisontines, photographie, par E. Mauvillier, 1894. Dans : "Franche-Comté. Industrie. Commerce" / Jules Sicard, Besançon : impr. Delagrange-Louys, [1894], p. 50. -
La Fabrique de soierie de Chardonnet, 1894.
La Fabrique de soierie de Chardonnet, photographie, par E. Mauvillier, 1894. Dans : "Franche-Comté. Industrie. Commerce" / Jules Sicard, Besançon : impr. Delagrange-Louys, [1894], p. 51. -
Collection photographique du Musée du Temps, Besançon : cartes postales et photographies (noir et blanc, diapositives couleur 24x36), fin 19e siècle et 20e siècle
Collection photographique du Musée du Temps, Besançon : cartes postales et photographies (noir et blanc, diapositives couleur 24x36), fin 19e siècle et 20e siècle (cotation partielle). Dont :* L'usine en 1892* Intérieur du laboratoire vers 1900 (958.11.33)* 8 intérieurs d'ateliers, ph. Mauvillier (?) à Besançon, entre 1905 et 1920 [958.11.148 (1) à (8)] * La salle du conseil, début ou milieu 20e siècle (11 et 11.2)* Construction du pont-roulant (empiétant sur le Doubs), 1949 * Vue d'ensemble depuis la citadelle, entre 1949 et 1954* Vue d'ensemble depuis le sud-est, entre 1957 et 1960 * La salle du conseil avant démontage, vers 1980* Intérieurs d'ateliers et ouvriers au travail, vers 1980Lieu de conservation : Musée du Temps, Besançon -
Besançon - Les Usines des Prés-de-Vaux. Soieries de Chardonnet, [entre 1892 et 1905]
Besançon - Les Usines des Prés-de-Vaux. Soieries de Chardonnet, carte postale, s.n., limite 19e siècle 20e siècle [entre 1892 et 1905]. Porte la date 23 septembre 1905.Lieu de conservation : Archives départementales du Doubs, Besançon - Cote du document : 6 Fi 25056 Z 5 -
333 - Besançon - Passerelle sur le Doubs - Les usines des Prés-de-Vaux, [entre 1892 et 1905]
333 - Besançon - Passerelle sur le Doubs - Les usines des Prés-de-Vaux, carte postale, s.n., s.d. [limite 19e siècle 20e siècle, entre 1892 et 1905] -
98. Besançon - Les Rochers de la Citadelle, Papeteries Weibel et Soieries de Chardonnet, [entre 1892 et 1905]
98. Besançon - Les Rochers de la Citadelle, Papeteries Weibel et Soieries de Chardonnet, carte postale, s.n., s.d. [entre 1892 et 1905], Raffin éd. à Besançon -
Excursion en Franche-Comté. Besançon - Les Soieries et Fort Brégille, [entre 1892 et 1905]
Excursion en Franche-Comté. Besançon - Les Soieries et Fort Brégille, carte postale, s.n., s.d. limite 19e siècle 20e siècle [entre 1892 et 1905], Teulet éditeur à Besançon.Lieu de conservation : Archives départementales du Doubs, Besançon - Cote du document : 6 Fi 25056 Z 6 -
585 - Besançon - Le Fort Bregille. Les Papeteries et les Soieries, [1905]
585 - Besançon - Le Fort Bregille. Les Papeteries et les Soieries, carte postale, s.n., s.d. [1905]. -
2946. Besançon. La Citadelle et les Usines des Prés-de-Vaux, [entre 1905 et 1907]
2946. Besançon. La Citadelle et les Usines des Prés-de-Vaux, carte postale colorisée, s.n., s.d. [entre 1905 et 1907], Léopold Verger éditeur. Date 1907 fournie par un exemplaire de la Bibliothèque municipale de Besançon. -
2947. Besançon. Les usines des Prés-de-Vaux. Soieries de Chardonnet, [entre 1905 et 1907]
2947. Besançon. Les usines des Prés-de-Vaux. Soieries de Chardonnet, carte postale colorisée, s.n., s.d. [entre 1905 et 1907], Léopold Verger éditeur. Date 1907 fournie par un exemplaire de la Bibliothèque municipale de Besançon. -
Besançon.- La Soierie et les Bains Militaires, [entre 1905 et 1914]
Besançon.- La Soierie et les Bains Militaires, carte postale, 1er quart 20e siècle [entre 1905 et 1914], L. Lardier éditeur (?). Porte la date 24 décembre 1914.Lieu de conservation : Archives départementales du Doubs, Besançon - Cote du document : 6 Fi 25056 T 312 -
Routes pittoresques vers la Suisse. 6 En Franche-Comté. Besançon - Papeteries et Soieries, au Pré de Vaux - La Citadelle, [entre 1909 et 1916]
Routes pittoresques vers la Suisse. 6 En Franche-Comté. Besançon - Papeteries et Soieries, au Pré de Vaux - La Citadelle, carte postale, s.n., s.d. [entre 1909 et 1916], Bauer Marchet et Cie éd. à Dijon. Le tampon rond Bauer Marchet et Cie Dijon a été utilisé par l'éditeur de 1909 à 1916. -
La Franche-Comté - Besançon - Usines des Prés de Vaux et la Citadelle, [entre 1905 et 1920]
La Franche-Comté - Besançon - Usines des Prés de Vaux et la Citadelle, carte postale, par Combier, s.d. [entre 1905 et 1920]Lieu de conservation : Archives départementales du Doubs, Besançon - Cote du document : 6 Fi 25056 Z 2 -
Vue d'ensemble depuis le sud-est, 1er quart 20e siècle [entre 1905 et 1920]
Vue d'ensemble depuis le sud-est, photographie, par Jules Manias (?), s.d. [1er quart 20e siècle, entre 1905 et 1920]Lieu de conservation : Région Bourgogne-Franche-Comté, Inventaire et Patrimoine, Besançon - Cote du document : Fonds Manias MA 25 0033 PY -
19 - Besançon - Les Usines des Prés de Vaux et Fort Bregille, [entre 1905 et 1920]
19 - Besançon - Les Usines des Prés de Vaux et Fort Bregille, carte postale, s.n., s.d. [1er quart 20e siècle, entre 1905 et 1920]Lieu de conservation : Archives départementales du Doubs, Besançon - Cote du document : 1 Fi 1190 -
1. Machine à vapeur, [entre 1905 et 1920]
1. Machine à vapeur, photographie, par E. Mauvillier, s.d. [1er quart 20e siècle, entre 1905 et 1920]Lieu de conservation : Musée du Temps, Besançon - Cote du document : 958.11.148 (1) -
2. Lavage au pyroxyle, [entre 1905 et 1920].
2. Lavage au pyroxyle, photographie, par E. Mauvillier, s.d. [1er quart 20e siècle, entre 1905 et 1920]Lieu de conservation : Musée du Temps, Besançon - Cote du document : 958.11.148 (2) -
3. Dénitrification, [entre 1905 et 1920]
3. Dénitrification, photographie, par E. Mauvillier, s.d. [1er quart 20e siècle, entre 1905 et 1920]Lieu de conservation : Musée du Temps, Besançon - Cote du document : 958.11.148 (3) -
4. Atelier de flottage, [entre 1905 et 1920]
4. Atelier de flottage, photographie, par E. Mauvillier, s.d. [1er quart 20e siècle, entre 1905 et 1920]Lieu de conservation : Musée du Temps, Besançon - Cote du document : 958.11.148 (6) -
5. Triage des flottes, [entre 1905 et 1920]
5. Triage des flottes, photographie, par E. Mauvillier, s.d. [1er quart 20e siècle, entre 1905 et 1920]Lieu de conservation : Musée du Temps, Besançon - Cote du document : 958.11.148 (7) -
6. Filature. Moulinage, [entre 1905 et 1920]
6. Filature. Moulinage, photographie, par E. Mauvillier, s.d. [1er quart 20e siècle, entre 1905 et 1920]Lieu de conservation : Musée du Temps, Besançon - Cote du document : 958.11.148 (5) -
7. Filature, [entre 1905 et 1920]
7. Filature, photographie, par E. Mauvillier, s.d. [1er quart 20e siècle, entre 1905 et 1920]Lieu de conservation : Musée du Temps, Besançon - Cote du document : 958.11.148 (4) -
8. Bobinage, [entre 1905 et 1920]
8. Bobinage, photographie, par E. Mauvillier, s.d. [1er quart 20e siècle, entre 1905 et 1920]Lieu de conservation : Musée du Temps, Besançon - Cote du document : 958.11.148 (8) -
Vue d'ensemble depuis le sud-est, [2e quart 20e siècle]
Vue d'ensemble depuis le sud-est, carte postale, s.n., s.d. [2e quart 20e siècle] -
Vue d'ensemble depuis la citadelle, [entre 1949 et 1954]
Vue d'ensemble depuis la citadelle, photographie, s.n., s.d. [milieu 20e siècle, entre 1949 et 1954].Lieu de conservation : Musée du Temps, Besançon -
Photographies aériennes (vues partielles), 1956 et 1964
Photographies aériennes (vues partielles), par Henrard, 1956 et 1964 (fonds Henrard : HE 39 0008 et 0010 VAR et VER, 0060 à 0062 NR, 0122, 0124 et 0125 NR). Dont : Vue aérienne de la papeterie depuis l'ouest, 1956 (HE 25 0062 NR).Lieu de conservation : Région Franche-Comté, Inventaire du Patrimoine, Besançon - Cote du document : Fonds Henrard -
Rhône-Poulenc-Textiles RP. Rhodiacéta-Usine de Besançon, [vers 1970]
Rhône-Poulenc-Textiles RP. Rhodiacéta-Usine de Besançon, photographie imprimée, s.n., s.d. [vers 1970]. Publiée dans : Regards sur le Doubs. - Paris : Service de Presse, Edition, Information, 1971, p. 200.
-
Andrikian, Yves. Rhodia : la démolition en 2016, 21 janvier 2015
Andrikian, Yves. Rhodia : la démolition en 2016. L'Est républicain, édition du Doubs, mercredi 21 janvier 2015, ill. -
Andrikian, Yves. Le scandale de la Rhodiaceta, 9 mars 2016
Andrikian, Yves. Le scandale de la Rhodiaceta. L'Est républicain, édition du Doubs, mercredi 9 mars 2016, ill. -
Auzenat, R. Société de la Soie artificielle de Besançon. La Soie artificielle - Industrie d'origine française, 1923
Auzenat, R. Société de la Soie artificielle de Besançon. La Soie artificielle - Industrie d'origine française. In : Le Département du Doubs.- S.l. : s.n., s.d. [1923], p. 94-95 : ill. Numéro spécial de L'Illustration Economique et Financière -
Bourlon, Corinne. [Etude d'Ethnologie industrielle sur l'usine de la Rhodiacéta, à Besançon], 1981
Bourlon, Corinne. [Etude d'Ethnologie industrielle sur l'usine de la Rhodiacéta, à Besançon].- 1981. 46 f. dactyl. : pl. h.t. : ill. ; 30 cm. Mém. maîtrise : Ethno. : Besançon : 1981. Mémoire de maîtrise non soutenu, commandé et conservé par le Musée du TempsLieu de conservation : Musée du Temps, Besançon -
Demoment, Auguste. Un grand inventeur. Le comte de Chardonnet (1839-1924), 1953
Demoment, Auguste. Un grand inventeur. Le comte de Chardonnet (1839-1924).- Paris : La Colombe, Ed. du Vieux Colombier, 1953. 326 p. - [4] pl. h.t. ; 20 cm. -
Le département du Doubs, 1923
Le département du Doubs. - [S.l.] : [s.n.], 1923 : ill. N° spécial de « L’Illustration économique et financière », supplément du 4 août 1923 -
Essor Industrie 1991. Franche-Comté, 1990
Essor Industrie 1991. Franche-Comté.- Trappes : Union Française d'Annuaires Professionnels, 1990. -
Jeanneret, Muriel. [La Société pour la fabrication de la soie de Chardonnet], 1983
Jeanneret, Muriel. [La Société pour la fabrication de la soie de Chardonnet].- 1983. Notes préparatoires à un mémoire de maîtrise (non soutenu) -
Kompass régional. Franche-Comté 1991, 1990
Kompass régional. Franche-Comté 1991.- Paris : Société Nouvelle d'Edition pour l'Industrie, 1990. -
Mathieu, Philippe. L'avenir des Prés-de-Vaux : un centre international d'affaires avec 2000 salariés, 27 avril 1991
Mathieu, Philippe. L'avenir des Prés-de-Vaux : un centre international d'affaires avec 2000 salariés. L'Est Républicain du Doubs, 27 avril 1991 : ill. -
L'Opinion économique et financière : Franche-Comté, 1949.
L'Opinion économique et financière : Franche-Comté, juillet 1949, n° 2. -
Payot, Bernard. Friche industrielle cherche issue de sortie, 5 mai 2003
Payot, Bernard. Friche industrielle cherche issue de sortie. L'Est républicain, édition du Doubs, 5 mai 2003 -
Rhodiacéta. Rhodiacéta RP. Une industrie... son histoire... ses réalisations, années 1960
Rhodiacéta. Rhodiacéta RP. Une industrie... son histoire... ses réalisations.- S.l. [Lyon] : Cristen, s.d. [années 1960]. 56 p. : ill. ; 25 x 25 cm. -
Rhodiacéta. Rhodiacéta. 1954 - Usine Textile Besançon - 1964, 1963
Rhodiacéta. Rhodiacéta. 1954 - Usine Textile Besançon - 1964.- S.l. : Rhodiacéta, 1963. Non paginé [50 p.] : ill., croquis ; 27 cm. Numéro spécial de la revue Rhociacéta [revue trimestrielle du personnel de la société], n° 4 (hiver 1963) -
[Rhône Poulenc Textile]. Rhône Poulenc Textile. Usine de Besançon, 1973
[Rhône Poulenc Textile]. Rhône Poulenc Textile. Usine de Besançon.- S.l. : s.n., s.d. [1973]. 18 f. multigr. ; 30 cm. -
[Rhône Poulenc Textile]. Rhône-Poulenc-Textile Besançon, 1977
[Rhône Poulenc Textile]. Rhône-Poulenc-Textile Besançon.- S.l. : s.n. [Rhône-Poulenc], 1977. 23 f. : ill. ; 21 x 30 cm. -
[Rhône Poulenc Textile. Comité d'établissement. Besançon] RPT Rhône Poulenc Textile Besançon, 1978
[Rhône Poulenc Textile. Comité d'établissement. Besançon] RPT Rhône Poulenc Textile Besançon.- S.l. [Besançon] : s.n. [CE. R.P.T. Besançon], s.d. [1978]. 23 p. - 1 pl. h.t. : ill. ; 21 x 30 cm. -
Ruffier, Jean. Historique de l'usine de Besançon, 1974
Ruffier, Jean. Historique de l'usine de Besançon.- S.l. : s.n., 1974. 46 f. multigr. : tabl., graph. ; 30 cm. -
Ruffier, Jean. Production du changement organisationnel. 15 ans d'histoire d'une usine textile, 1981
Ruffier, Jean. Production du changement organisationnel. 15 ans d'histoire d'une usine textile.- 1981. 250 f. dactyl. : tabl., graph. ; 30 cm. Th. 3e cycle : Sci. Eco. : Aix-en-Provence : 1981. -
Sauter, Philippe. 1 € pour la Rhodia, 15 octobre 2011
Sauter, Philippe. 1 € pour la Rhodia. L'Est républicain, édition du Doubs, 15 octobre 2011, ill. -
Sicard, Jules. Franche-Comté-Industrie-Commerce. - Besançon : s.n., 1894.
Sicard, Jules. Franche-Comté-Industrie-Commerce. - Besançon : s.n., 1894.
À voir
Informations complémentaires
Cité par : Demoment, A. Un grand inventeur [...], 1953, p. 89.
La cellulose purifiée, provenant des pâtes chimiques de bois et de paille, de coton, de chiffons, des rognures de papier à filtrer, est traitée par des procédés habituels, pour la transformer en dérivés nitrés solubles dans le mélange alcool-éther. On fait dissoudre 3 grammes de pyroxyle dans 8o centimètres cubes d'un mélange à volumes égaux d'alcool et d'éther. D'autre part, on prépare une solution dans 20 centimètres cubes d'alcool, de 3 décigrammes d'un protochlorure réducteur de fer, de chrome, de manganèse ; de quelques milligrammes d'une base organique oxydable, de la quantité convenable de matière colorante (couleurs d'aniline non acides et solubles dans l'éther et l'alcool). Toutes proportions variant selon les pyroxyles traités, l'élasticité du produit à obtenir. On mélange les deux solutions et on laisse reposer, on obtient ainsi la « solution mère » de la soie artificielle.
Cette solution est filée sous une pression de plusieurs atmosphères dans des tubes capillaires débouchant dans l'eau, au contact de laquelle les fils se solidifient. Le fil, formé d'une colonne liquide entourée d'une gaine solide, est séché dans un courant d'air où il se déroule d'une façon continue. On règle la pression intérieure et la vitesse d'enroulement de façon à obtenir un fil du diamètre de la fibre naturelle du coton.
Le séchage a lieu dans un appareil consistant en deux chambres verticales closes, et communiquant à leurs deux extrémités, l'une chauffée dans laquelle circulent les fils, l'autre refroidie par un courant d'eau ou le liquide d'une machine frigorifique. L'air chaud monte dans la première en séchant les fils, passe dans la seconde où les vapeurs éthéro-alcooliques se condensent et sont enlevées, puis repasse par le bas dans la caisse de séchage. La circulation à circuit fermé permet de remplacer l'air par un gaz inerte au cas où l'on emploierait un dissolvant trop oxydable : le méthylène, par exemple (Besançon, 17 novembre 1884).
Extrait d'une Notice sur les travaux scientifiques du comte de Chardonnet, citée par : Demoment, A. Un grand inventeur [...], 1953, p. 90.
Je rappelle d'abord en quelques mots en quoi consiste la soie artificielle connue sous le nom de soie de Chardonnet.
On commence par nitrer du coton en floche en le trempant dans un mélange d'acides nitrique et sulfurique concentrés ; on obtient du coton-poudre qu'on dissout dans un mélange d'alcool et d'éther. Cette solution est connue depuis longtemps sous le nom de collodion.
Le collodion, spécialement préparé pour cet usage, bien filtré, est introduit dans des presses hydrauliques qui l'obligent à s'écouler à travers des tubes capillaires, ou filières (que les ouvrières ont baptisés « verres à soie »). Le liquide se coagule instantanément à l'air en formant un filament ténu. Au sortir des filières, ces filaments sont réunis par groupes qui s'enroulent chacun sur une bobine analogue à celles qui servent pour les soies naturelles.
Les bobines ainsi garnies de fil sont portées sur des moulins Vaucanson modifiés, où les filaments groupés sur chaque bobine sont retordus ensemble, formant désormais un seul fil au point de vue des manipulations subséquentes.
A cet état, les fils sont encore chimiquement de coton-poudre et demeurent, sinon explosifs, du moins trop combustibles pour être employés pratiquement. Ils doivent perdre l'acide nitrique combiné pour perdre en même temps leur combustibilité. Afin d'obtenir ce résultat, les bobines chargées de fil retordu sont mises à tourner rapidement sur elles-mêmes dans une solution tiède d'un sulfure alcalin qui, projetée à travers la masse des fils par la force centrifuge, détruit l'acide nitrique et ramène, au point de vue chimique, le coton-poudre à l'état de coton ordinaire. La nitration n'a été nécessaire que temporairement pour dissoudre et filer la cellulose dont le coton est formé.
Une fois dénitré, ce fil n'est donc pas plus combustible que le coton ordinaire ; il a acquis une solidité analogue à celle des soies cuites du Japon ou de Canton avec un éclat supérieur à celui des soies naturelles...
D'après Rhodiacéta. 1954 […], 1963.
Branche tergal | ||
1ère filature (TF1) | 30 mars 1954 - octobre 1955 | |
2e filature (TF2) | 18 juillet 1958 - 24 janvier 1959 | |
Etirage (TE4) | fin 1956 - août 1958 (centrale de conditionnement en 1959) | |
Etirage, usine B (TE5) | 1963 - 1964 | |
Branche nylon | ||
1ère filature (NF1) | 24 juin 1955 - 26 mars 1956 | |
2e filature (NF2) | début 1958 - 28 janvier 1959 | |
3e filature (NF3) | 1960 - 26 janvier 1962 | |
1er étirage (NE1) | 1955 - 15 mai 1957 | |
2e étirage (NE2) | 25 mai 1960 - 26 janvier 1962 | |
3e étirage (NE3) | 1963 | |
Branche tergal et nylon | ||
1er finissage, usine B (TN01) [ourdissage] | 23 mai 1960 - 17 mars 1962 | |
2e finissage, usine B (TN02) | 1963 - 1965 | |
Divers | ||
Poste de transformation haute-tension | 1955 | |
Centrale frigorifique | 5 mars - 21 novembre 1957 | |
Château d'eau | 20 mars 1957 - 20 février 1958 | |
Corps d'état | février - juillet 1959 | |
Cantine | 1958 (1963 ?) | |
Usine C | 1963 - 1964 |
Plus ancienne usine de fabrication du textile artificiel de France, voire au niveau mondial, l'usine des Soieries a conservé des bâtiments d'origine (années 1890).
- patrimoine industriel du Doubs
- anciennement région de Franche-Comté
- bureau
- laboratoire
- chaufferie
- atelier de fabrication
- tour de réfrigération
- entrepôt industriel
- magasin industriel
- réservoir industriel
- atelier de réparation
- vestiaire d'usine
- infirmerie
- cantine
- local syndical
- local du comité d'entreprise
- cour
- stationnement
- passerelle
- transformateur
- voie ferrée
- tunnel
- quai
- château d'eau
- conciergerie
- cité ouvrière
- jardin ouvrier
- parc
- logement
- garage
- magasin de commerce
- © Région Bourgogne-Franche-Comté, Inventaire du patrimoine
