MUR DE SOUTÈNEMENT (VOIE FERRÉE ANDELOT - LA CLUSE)
39 - Vaux-lès-Saint-Claude
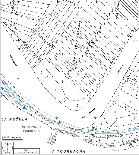
En Chambouille
- Dossier IA39001176 réalisé en 2004 revu en 2006
- Auteur(s) : Laurent Poupard
Historique
Le mur de soutènement est construit après le 15 juin 1882, date de l'adjudication du deuxième lot de travaux du tronçon Saint-Claude Oyonnax (qui s'étend de Molinges à Dortan), défini par les ingénieurs des Ponts et Chaussées Toussaint et Picquenot (Paul ?). Il est terminé avant le 10 juillet 1889, date d'entrée en exploitation de la section Saint-Claude - La Cluse, deuxième section achevée de la ligne Andelot - La Cluse. Il est dû soit à Eloi Jourdan, adjudicataire du deuxième lot en 1882, demeurant à Bagnols-sur-Cèze dans le Gard et dit " entrepreneur des travaux du chemin de fer et de navigation d'Alais au Rhône et à la Méditerranée ", soit à Joseph Bozzonetti, entrepreneur à Champagnole, qui le remplace le 1er décembre 1884, après sa faillite. Il est réalisé avec la pierre extraite de l'une des trois carrières utilisées par ces entrepreneurs, au moulin de Vaux (la plus proche), à Vaux et à Chiriat.
- 4e quart 19e siècle
Éloi Jourdan, dit " entrepreneur des travaux du chemin de fer et de navigation d'Alais au Rhône et à la Méditerranée ", demeurant à Bagnols-sur-Cèze dans le Gard. 19e siècle.
Joseph Bozzonetti, entrepreneur à Champagnole (Jura). 19e siècle.
Description
Le mur protège la plateforme de la voie ferrée des attaques de la Bienne à un endroit où la rivière faisant un coude à angle droit, ses eaux viennent éroder la rive gauche. Edifié en moellons calcaires, il est long de 230 m (du PK 086.189 au PK 086.419) pour une hauteur maximale de 7, 90 m. Il est percé par deux aqueducs voûtés en berceau plein-cintre : le premier (au PK 086.199), large de 1 m et d'une hauteur libre de 1, 35 m, pour le ruisseau de Chambouille et le second (au PK 086.290), avec 1, 50 m de largeur et de hauteur libre, laissant passage au ruisseau du Tournachut.
- calcaire
- moellon
- voûte en berceau plein-cintre
À voir
Informations complémentaires
- la voie ferrée Andelot - La Cluse
- aqueduc
- © Région Bourgogne-Franche-Comté, Inventaire du patrimoine
