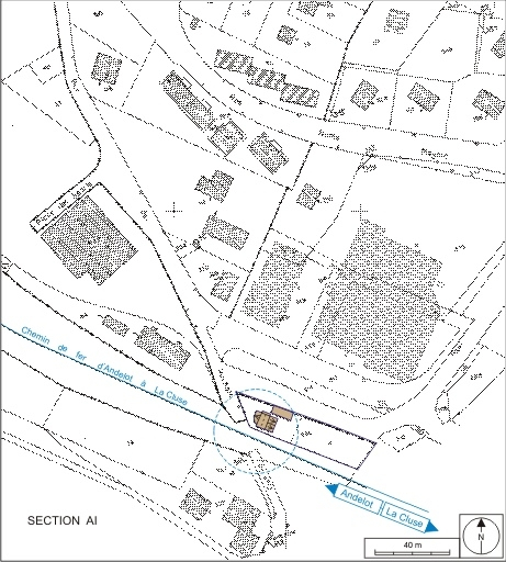
MAISON DE GARDE-BARRIÈRE ET PASSAGE À NIVEAU N° 28 (VOIE FERRÉE ANDELOT - LA CLUSE)
39 - Saint-Laurent-en-Grandvaux
9 rue des Rochats
- Dossier IA39001117 réalisé en 2004 revu en 2006
- Auteur(s) : Laurent Poupard
Historique
Du tronçon de ligne Saint-Laurent-en-Grandvaux - Morez, la première partie (de Saint-Laurent à Morbier) est étudiée par les ingénieurs des Ponts et Chaussées Toussaint et Picquenot (Paul ?), auquel Moron succède comme ingénieur en chef en 1885, et par l'ingénieur en chef de la compagnie du PLM (Paris - Lyon - Méditerranée) Vernis, qui laissera la place à Moris. Elle est ouverte à l'exploitation le 15 mai 1899. La maison de garde-barrière du passage à niveau n° 28 devrait en relever ; toutefois, dans la mesure où elle apparaît sur un plan daté de 1890, elle semble plutôt bâtie à la fin de la décennie 1880 comme les maisons du tronçon Champagnole - Saint-Laurent, mis en service le 10 juillet 1890. Correspondant au plan de " Maison de garde avec cave et étage. Type de la Cie de Paris - Lyon - Méditerranée ", annexé à la circulaire ministérielle du 26 avril 1880, elle fait partie de ces maisons agrandies (dès la première moitié du 20e siècle ?) par un corps de bâtiment en appentis de même largeur qu'elles. Le garde-barrière manoeuvrait également, à distance, les barrières du passage à niveau suivant (n° 29). La maison est vendue à un particulier dans la deuxième moitié du 20e siècle. La porte a récemment déplacée du pignon côté voie à l'élévation ouest et le bâtiment complété par des extensions à l'ouest et à l'est. Modernisé, le passage à niveau est du type à signaux automatiques lumineux.
- 4e quart 19e siècle
Description
Le passage à niveau (au PK 036.800) est équipé d'avertisseurs lumineux et sonores, et de deux demi-barrières Alsthom. Coiffé d'un toit à longs pans recouvert de tuiles mécaniques, la maison (cadastrée AH 250) compte un sous-sol et un étage en surcroît. Les murs en moellons calcaires, apparents au niveau des premières assises, sont enduits et protégés au sud par un essentage de tôle ; ils sont percés de baies en arc segmentaires. A l'est, l'extension ancienne, en rez-de-chaussée, a repris le parti constructif initial (moellons calcaires enduits et baies en arc segmentaire) mais est couverte de tôles plates.
- calcaire
- brique
- moellon
- enduit partiel
- essentage de tôle
- tuile mécanique
- métal en couverture
- sous-sol
- en rez-de-chaussée
- étage en surcroît
- toit à longs pans
- pignon couvert
- escalier dans-oeuvre,
- PLM maison type
À voir
Informations complémentaires
- la voie ferrée Andelot - La Cluse
- © Région Bourgogne-Franche-Comté, Inventaire du patrimoine
