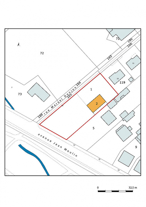
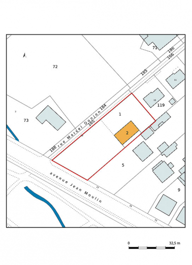
MAISON 19 AVENUE JEAN MOULIN DITE VILLA BELLEVUE
70 - Luxeuil-les-Bains
19 avenue Jean Moulin
- Dossier IA70001170 réalisé en 2020
- Auteur(s) : Fabien Dufoulon
Historique
Cette maison, tout comme les voisines au n°15 et au n°17, est en retrait par rapport à l'avenue Jean Moulin. Cette implantation correspond au premier tracé de la limite du parc thermal. La maison peut être datée du troisième quart du 19e siècle : elle doit être contemporaine de la maison voisine n°15 datée de 1869.
- 3e quart 19e siècle
Description
- pierre
- moellon
- enduit
- tuile mécanique
- plan rectangulaire régulier
- rez-de-chaussée
- 1 étage carré
- étage de comble
- élévation à travées
- toit à longs pans, pignon couvert
Source(s) documentaire(s)
-
Plan général de l'établissement thermal de Luxeuil et de ses dépendances. Mai 1922.
Plan général de l'établissement thermal de Luxeuil et de ses dépendances / [auteur inconnu]. Mai 1922. 100 x 31 cm.Lieu de conservation : Archives départementales de la Haute-Saône, Vesoul - Cote du document : 5 M 145
-
Pierra, Louis-Melchior. Luxeuil-les-Bains et ses environs, guide médical, historique et touristique. 1923.
Pierra, Louis-Melchior. Luxeuil-les-Bains et ses environs, guide médical, historique et touristique. Paris : L’Expansion scientifique française, 1923. 121 p.
À voir
Informations complémentaires
- thermalisme en Bourgogne-Franche-Comté (le)
- © Région Bourgogne-Franche-Comté, Inventaire du patrimoine
