CITÉ OUVRIÈRE D'EBOULET
70 - Champagney
Eboulet
- Dossier IA70000160 réalisé en 2006
- Auteur(s) : Raphaël Favereaux
Historique
Cette cité a été construite à la fin des années 1920, notamment pour accueillir la main-d'oeuvre polonaise. Elle serait l'oeuvre d'une société de Douai, peut-être la Compagnie des Mines d'Ostricourt, qui bâtit à la même époque la cité du Morbier (étudiée IA70000156). Les logements ont ensuite été vendus à des particuliers.
Période(s)
Principale :
- 2e quart 20e siècle
Description
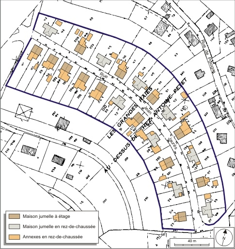
Cette cité comprend 25 maisons ouvrières doubles disposées de 1 à 48 rue Jean Jaurès. Construites en parpaing de mâchefer enduit, quinze d'entre elles sont pourvues d'un étage carré, alors que les dix autres sont bâties en rez-de-chaussée, avec toit à croupe. Elles offrent des appartements de 3 et 5 pièces.
Murs :
- résidu industriel en gros oeuvre
- moellon
- enduit
Toit :
- tuile mécanique
Etages :
- 1 étage carré
À voir
Informations complémentaires
Thématiques :
- patrimoine industriel de la Haute-Saône
Aire d’étude et canton :
Haute-Saône
Dénomination :
cité ouvrière
- © Région Bourgogne-Franche-Comté, Inventaire du patrimoine
