ÉCOLE PRIMAIRE SAINT-MARTIN
90 - Grandvillars
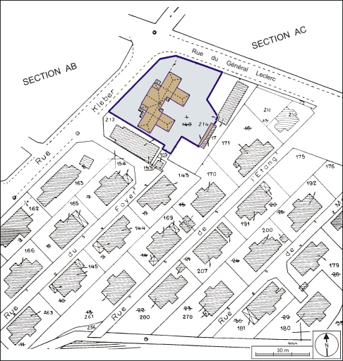
2 rue Kléber
- Dossier IA90000070 réalisé en 2000
- Auteur(s) : Raphaël Favereaux
Historique
Construite en 1893-1894 par la société Viellard-Migeon et Cie, l'école de garçons Saint-Martin est dirigée par les frères marianistes de Belfort. C'est aujourd'hui une école primaire privée mixte. Existence d'un fonds d'archives privées.
- 4e quart 19e siècle
Description
L'école est en pierre de taille et moellon de calcaire, à un étage carré et un étage de comble, couverte d'un toit à longs pans et croupe. Elle porte l'inscription Ecole Libre sur la façade antérieure.
- calcaire
- moellon
- pierre de taille
- enduit
- tuile mécanique
- 1 étage carré
- étage de comble
Source(s) documentaire(s)
-
Grandvillars. L'Ecole Libre.
Grandvillars. L'Ecole Libre. Carte postale, E. Mayer éd. (Belfort), s.d. [début 20e siècle].Lieu de conservation : Archives départementales du Territoire de Belfort, Belfort - Cote du document : 8 Fi Grandvillars 1137
À voir
Informations complémentaires
- patrimoine industriel du Territoire de Belfort
- © Région Bourgogne-Franche-Comté, Inventaire du patrimoine
